Feel at home with the Property League

Sold

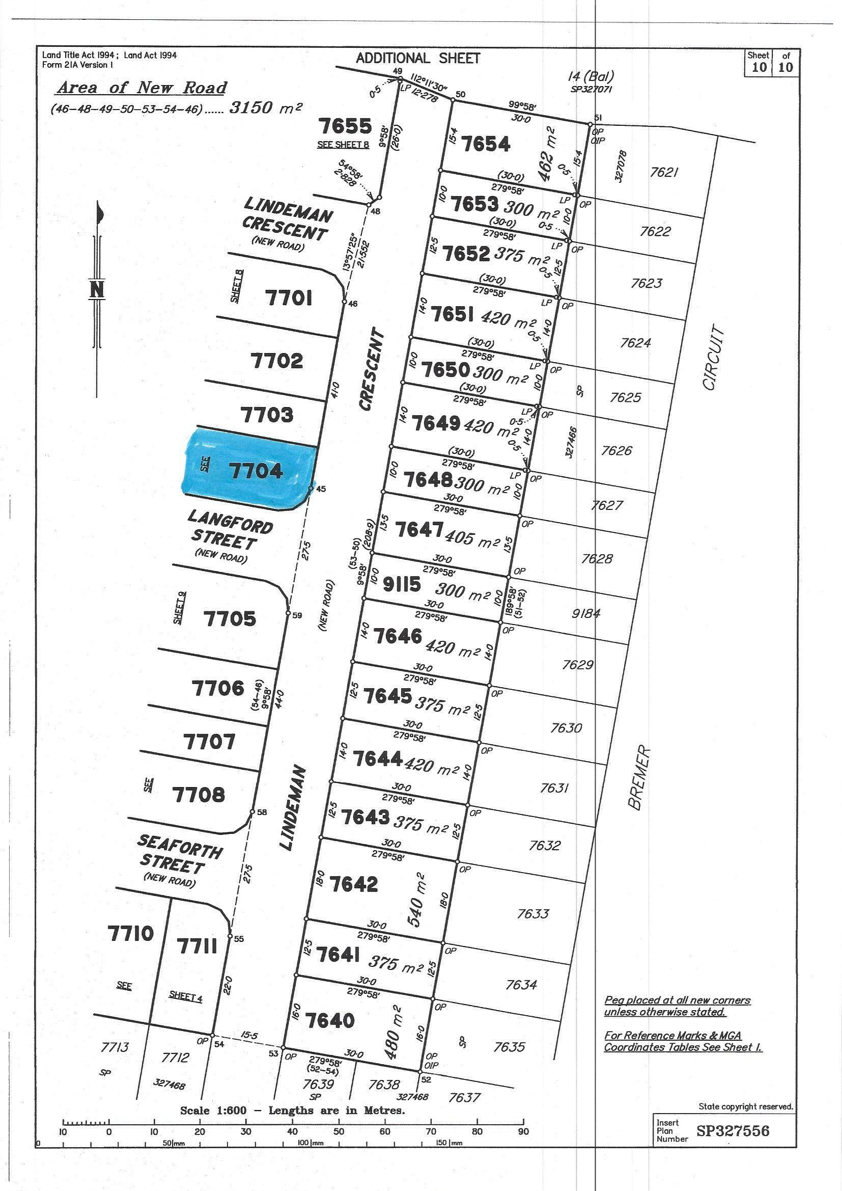
Has its own Title so no delay Build straight away!!

Don't delay, this vacant land has just been reduced and is a great buy as I have motivated sellers looking for a quick settlement and it has its own title so no need to wait, you can build now!  Corner Blocks are good as you have less neighbours plus you may be able to take advantage of the first home buyers grant!  Lot 7704 is located on a lovely landscaped corner of Lindeman Crescent and Langford Street which is stage 3 of Stocklands Masterplan in  Auras "City of Colour" newest suburb of Banya with extra parks and amenities and so much planned for the future plus it is  walking distance to the Nerimba Primary School.  Being on the southern end of Aura and the newest suburb it will only be minutes to the quick exit for the Bruce Highway opening up in 2023 so will be super convenient for those commuting to Brisbane or just cut across highway and board the train at Landsborough.  Block is east facing approx 15 M2 x approx 30 M2 and many plans can incorporate this siza and aspect, plan can be reconfigured to suit the block ie living space outdoor area on side. 

It will be an easy stroll to the  Banya Village Hub and Aura Brook with 2 neighborhood parks located nearby.  This lovely corner  block is also located in close proximity to the  Nerimba Sports Complex, future private school and the City Centre is only minutes away.  The Shopping Centre is to be built at the adjoining Nirimba Town Centre and will have stage One  completed in 2025 and will be twice the size of Kawana Shopping World when complete so there is much growth to occur.  Purchase now and build your dream home on this great corner block and be part of the growth in this exciting and vibrant community!

You can build your dream home on one or 2 levels on this slightly elevated flat block.  Bring the family or retire in style, whatever your desire it will be an exciting place to move to with everything from Parks, Taverns, Schools and Shopping Centres and is an ideal place to live and raise a family. You're not far away from the beautiful beaches of Caloundra and the new Sunshine Coast University Hospital is also only 15 minutes drive up Kawana Way. There is so much so close and there is much planned for the coming years so don't miss this opportunity to be a part of this fabulous  Coastal Lifestyle!

You may have your own builder chosen or here are some examples of 3 houses that could suit your budget:-  The Melrose $302,199,  The Endeavour $305,771 and 2 Level Jersey at $479,916.  They all  come with luxury inclusions:- Truecore steel frame and trusses, 2590 mm Height Ceiling, A/C Throughout, Semi Frameless Shower Screens, 20 mm Stone Throughout, Fly Screens and Blockout Roller Blinds, 900 mm Westinghouse Appliances, 600 x 600 Internal Floor Tiles, 450 x 450 Tiles to Alfresco and Porch, Freestanding Bath Plus Plenty More!    

  • Flat level Corner in quiet area
  • Settle fast, be ready, build now 
  • Ideal for 1 level or go up 2 floors
  • slightly elevated and landscaped
  • 15 M2 frontage East Facing
  • Plan can be reconfigured to suit
  • Banya is Auras newest suburb
  • quick access to Bruce H'Way 2023
  • Parks, Schools, Shopping Centre
  • Grow with this great community
  • 15 mins to Hospital and Beaches
  • ideal homes to suit your budget
  • Live a fabulous Coastal Lifestyle!
441 m2
Address 13 Lindeman Cres, Banya
Price SOLD for $396,000
Property Type Residential
Property ID 335
Category Vacant Land
Land Area 441 m2

Agent Details

Leanne King photo

Leanne King

0439910235
View Profile